Thank you for considering Parkvale School for your child.
You have already successfully taught your child many very necessary skills. School does not replace you as the teacher. We look forward to working in partnership with you to further your child’s academic, social, physical, cultural and intellectual development.
For further enrolment information please email enrolments@parkvale.school.nz or come into school and pick up an information pack.
All our enrolments are complete online.
Click on the link to complete your enrolment. This will be automatically sent through to our Office Receptionist.
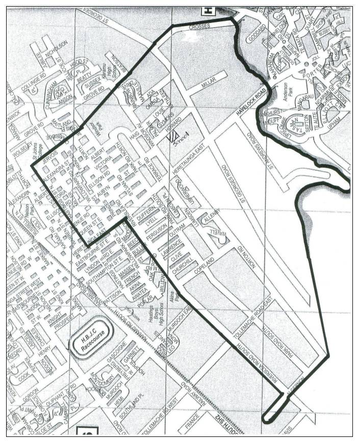
The enrolment scheme home zone is described on the attached map and is as follows:The Parkvale School geographic zone shall bounded by:
Karamu Stream - north to Crosses Road including both sides of Crosses RoadKaramu Stream - south to Algernon Road - including Havelock Road, St Andrews Road and St Georges Road.by a line from the corner of Crosses Road and St Georges Road to meet and include Jervois Street as far as Hastings Street.by Hastings Street North to Heretaunga Street East.by Heretaunga Street East from Hastings Street to Riverslea Road.by Riverslea Road South to Algernon Road.
Proof of residence within the home zone will be required.
Phone: 06 878 6616
Phone: 06 878 6616 - Principal Aaron O'Neill
Email: admin@parkvale.school.nz
Enrolments: enrolments@parkvale.school.nz
1217 Howard Street,Hastings